黑胶转录与CD音频的区别
黑胶转录先在国外网站兴起,国内的网站也有不少人在弄,制作发布、下载或转载分享非常热闹,黑胶转录受到大家喜好。听黑胶转录最直接的感觉是比CD抓轨音频,甚至比原版CD的听感好和舒适感强。
黑胶转录是否真的值得去做?有位叫jimdrp 的网友为做黑胶唱片转制实验试听专门转录了一批24bit-96kHZ、24bit-44.1kHZ和从CD抓轨16bit-44.1kHZ 格式是WAV,在网上发布(
http://music.88bx.com/viewthread.php?tid=48597&highlight=%BA%DA%BD%BA),供大家试听和比较。 另一个网友jmlcy(在19楼)发布了这些音频的频谱图,让我们比较直观地了解,黑胶转录与CD音频的区别。如果这些频谱图是准确的,黑胶转录受欢迎就找到了科学的根据,而不仅仅主观的感觉了。希望有条件的朋友验证一下。
截取钢5第1乐章第3分钟前后的频谱图如下:
1 、24bit-96kHZ之LP-WAV音频

2、24bit-44.1kHZ之LP-WAV音频

3、16bit-44.1kHZ之CD-WAV音频

可以看出24bit-96kHZ之LP-WAV音频频响明显要宽,高频达到了32kHZ,听音感觉也是如此,CD音频实际上将22kHZ以上的高频截掉了,严格意义上来说,CD音频并不是无损音频。
根据CD唱片制作原理的资料介绍,当年制订CD标准时,认为人的听觉最高只能到20KHZ,就把CD的采样频率定在22kHZ(两声道为44kHz),实际上就把22kHZ以上的高频截掉了。现在有研究表明,20kHZ以上的高频,耳朵不一定能分辩出声音,但由于声波压力的存在,还是会影响听声音的感觉。
采样频率是决定数字音频的频响宽度,44kHz格式的只能到22kHZ,96kHz格式可达到48kHz。黑胶转录的24bit-96kHZ音频,可把22kHZ以上的信息记录和播放,22kHZ-48kHz这个频段的信息还是很强烈的。
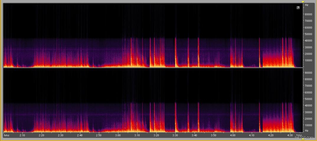
以下是黑胶转录24bit-96kHZ拉威尔《波莱罗》最后5分钟的频谱图。(图 4)

由此看来,黑胶转录为24bit-96kHZ格式是很有意义的。在 24bit-192kHZ格式音频中,48kHz以上的信号是威弱的。以下频谱图是黑胶转录24bit-192kHZ格式《幻想交响曲》 “断头台”一段的频谱:(图 5)
